News Flash Home
The original item was published from 8/16/2019 4:50:00 PM to 9/10/2019 4:35:21 PM.

News Flash

East Brandywine Township

Posted on: August 16, 2019

[ARCHIVED] Bollinger & Horseshoe Pike Signal Update

20190816 Bollinger Signal Work

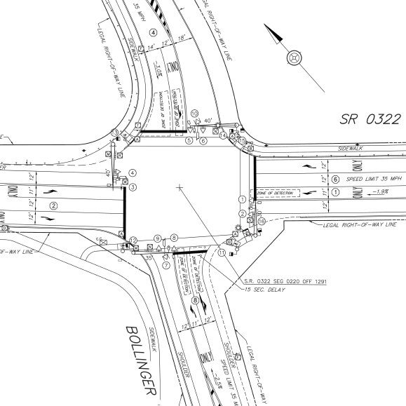
Construction of intersection improvements to Horseshoe Pike and Bollinger Road, plus the new road "Warren Lane" in the Mapleview development, is scheduled to begin on Monday, August 19th. Motorists should be prepared for restricted traffic flows as required for each phase of construction.  The project is anticipated to be complete by Friday, October 25.  

The planned improvements include a new traffic signal, the widening of both Horseshoe Pike and Bollinger Road, as well as the creation of a new road to the north.  At the conclusion of the project, traffic north-bound on Bollinger Road will have a dedicated left-turn lane. Traffic going either direction on Horseshoe Pike will enjoy left, right, and straight ahead lanes at the intersection.  The improvements also include safe pedestrian crossings.  Complete plans for the intersection improvements are available here as a PDF download.

A complete (gantt chart) project schedule is available here as a PDF download.  Here is a summary of the planned work:

  • Initial survey and utility location work for the intersection improvements began Tuesday, August 13th.
  • Initial grading work, which begins on August 19, is expected to take 2 weeks.
  • Installation of storm sewer facilities will begin after the Labor Day holiday, and is expected to take 3 to 4 weeks to complete.
  • Grading to complete to widening on Horseshoe Pike and Bollinger Road will begin on September 23rd.
  • On October 2nd, Bollinger Road will be closed at the Horseshoe Pike intersection to all traffic until the completion of the project.
  • Paving, and later paint striping, is scheduled to begin on October 14th, and is expected to be completed by Friday, October 25th.

This schedule is subject to change based on inclement weather or other unexpected issues. Check back here for updates!

Pennsylvania 511 Travel Info
Facebook Twitter Email

Other News in East Brandywine Township